Astăzi, un nou domeniu se aliază medicinei psihosomatice în investigațiile acesteia asupra interacțiunii minte / corp. Psihoneuroimunologia (PNI) este studiul influențelor psihologice şi neuronale asupra sistemului imunitar. La apariția sa, acest domeniu a produs mult entuziasm. Această disciplină promitea să facă lumină într-o serie de fenomene destul de diverse precum congestia nazală și vindecarea prin credință. Cu toate acestea, cercetarea a produs adesea rezultate ambigue.
Introducere în psihologie. Cuprins
(Cap.14: Frontierele psihologiei) - (Partea I: Psihologie şi medicină)
Ce este PNI? In ce a constat o demonstrație asupra condiționării sistemul imunitar?
O demonstrație simplă a modului în care învățarea poate afecta răspunsul sistemului imunitar a fost prezentată în capitolul 5. Cercetătorii de la şcoala medicală a Universității din Alabama au expus şoareci la mirosul de camfor, înainte de a le face injecții cu o substanță chimică care creştea activitatea celulelor NK (Natural Killer - ucigaşi naturali). După nouă asocieri, mirosul singur a stimulat activitatea celulelor NK.
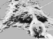
Activitatea celulelor Natural Killer este interesantă pentru cercetători, deoarece aceste celule (un tip de macrofage) constituie o parte vitală a sistemului imunitar. Macrofagele luptă împotriva invadatorilor, cum ar fi bacteriile, virusurile și chiar celulele canceroase. Figura de mai jos prezintă un macrofag care atacă o celulă canceroasă. Celula canceroasă este micul obiect globular din prim-plan cu răni adânci în ea.

Un macrofag atacă o celulă canceroasă
Dacă activitatea macrofagă este supusă condiționării clasice, acest lucru ar putea explica unele influențe psihologice asupra vindecării. Cu toate acestea, în ciuda studiilor promițătoare cu animale, nicio cercetare făcută pe oameni nu a arătat încă o legătură directă între terapiile psihologice, activitatea macrofagă și efectele măsurabile asupra sănătății.
Care este dovada că stresul poate afecta vindecarea?
O modalitate în care factorii psihologici pot influența sănătatea este prin efectul lor asupra stresului. Evenimentele de viață extrem de negative pot afecta sănătatea. De exemplu, persoanele care au fost implicate în îngrijirea rudelor lor suferinde de Alzheimer (un eveniment de viață extrem de negativ) nu s-au vindecat la fel de repede atunci când s-au rănit. "Persoanele care acordau îngrijire au avut nevoie, în medie, de 9 zile sau de 24% mai mult timp decât grupul de control pentru a-și vindeca complet o rană mică, obișnuită" (Kiecolt-Glaser, Page, Marucha, MacCallum și Glaser, 1998). Efectul stresului este în mod clar relevant pentru sănătatea umană în mai multe moduri, de aceea stresul va fi analizat în propria sa secțiune, mai târziu în acest capitol.
Cancerul este combătut de sistemul imunitar, așa că există speranța ca tehnicile psihologice să poata ajuta la combaterea cancerului. Multe tehnici sunt deja în uz; de exemplu, pacienții cu cancer folosesc de multe ori imagini pentru a vizualiza luptele sistemului imunitar sau distrugerea celulelor canceroase. Cu toate acestea, așa cum observau Cohen și Herbert (1996), cercetarea asupra cancerului și vindecarea psihologică tind să fie inconsecvente și greu de interpretat.
Un exemplu tipic de cercetare PNI este cea intreprinsă de Fawzy și colegii săi (1993). Ei au studiat 66 de pacienți cu melanom malign, repartizați aleator la condiții terapeutice sau nonterapeutice."Terapia" consta în educație, managementul stresului, abilități de adaptare și discuții, toate realizate în șase sesiuni de câte 90 de minute. "La șase luni după ce intervenția s-a terminat, participanții de la grupul de intervenție au manifestat un grad redus de distres psihologic, o funcție imunitară îmbunătățită (activitate crescută a NK), precum și modificări ale numărului de celule proprii sistemului imunitar (scăderea celulelor T, limfocite crescute), în comparație cu pacienții din grupul de control. Intervenția a scăzut, de asemenea, recurența bolii și a crescut gradul de supraviețuire, evaluat șase ani mai târziu".
Este un rezultat plin de speranță. Cu toate acestea, "modificările din rezultatele sistemului imunitar... nu au explicat efectul intervenției asupra mortalității." Cu alte cuvinte, cei care au supraviețuit mai mult nu au fost neapărat cei la care s-a constatat o activitate crescută a sistemului imunitar după șase luni de la intervenție.
Un alt studiu (Spiegel și colegii, 1989) a implicat 58 de pacienți cu cancer de sân metastatic, care au fost repartizați aleator la un grup terapeutic sau la unul nonterapeutic. Intervenția consta în întâlniri săptămânale de câte 90 de minute care se axau pe probleme asociate bolilor terminale și pe modalități de îmbunătățire a relațiilor. "Zece ani mai târziu, s-a constatat un avantaj de supraviețuire de 18 luni asociat cu intervenția." Cu toate acestea, răspunsurile imune nu au fost măsurate, astfel încât aceste rezultate nu pot fi legate direct de efectele psihologice asupra activității sistemului imunitar.
Aceste două studii sunt tipice în aceea că intervențiile psihologice au, în mod obișnuit, un efect pozitiv asupra sănătății. Cu toate acestea, efectul poate fi rareori corelat într-o manieră simplă cu răspunsurile sistemului imunitar.
Traducere de Maricica Botescu cu acordul autorului
